- Historie
- Über uns
- Das Team
- Kontakt / Login
- Datenschutzerklärung
- Impressum

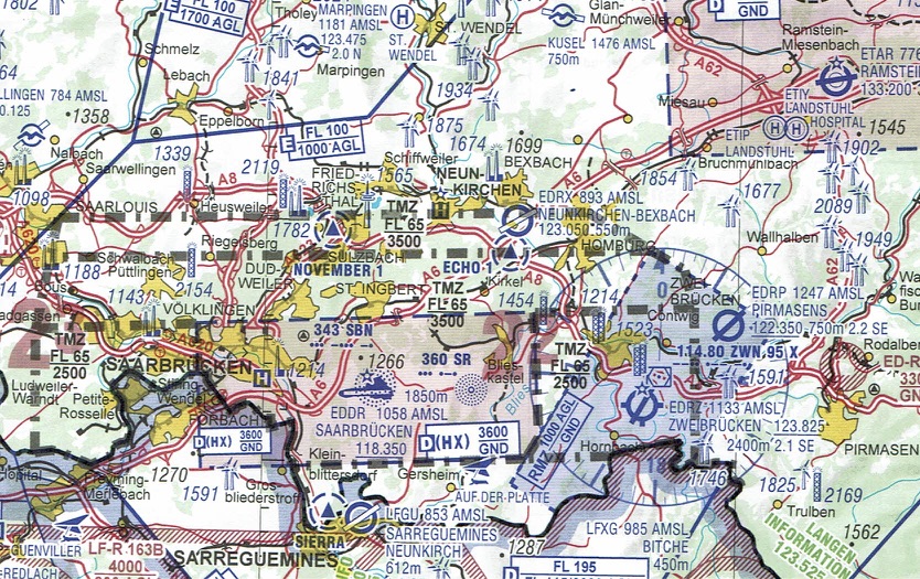
Der Verkehrslandeplatz Pirmasens liegt im nordöstlichen Bereich der RMZ Zweibrücken. Der Platzrundenverlauf liegt teilweise außerhalb der RMZ.
Der Landesbetrieb Mobilität Rheinland-Pfalz befreit den Flugplatzverkehr des VLP Pirmasens, innerhalb des Sektors Pirmasens (siehe Sichtflugkarte EDRP AIP VFR), von der Funkkommunikationspflicht RMZ Zweibrücken unter der Bedingung, dass Hörbereitschaft auf der Frequenz „Pirmasens Info“ gehalten wird.
Auf möglichen Instrumentenflugverkehr zum / vom Flugplatz Zweibrücken ist visuell zu achten. Die unmittelbar betroffene An- und Abflugstrecke ist in der Sichtflugkarte Pirmasens EDRP im Luftfahrthandbuch AIP VFR dargestellt. Im Übrigen gelten die Regelungen der RMZ Zweibrücken siehe NfL 1-1964-20.
Innerhalb der RMZ und außerhalb des Sektors Pirmasens ist Funkverbindung mit Zweibrücken Information 123.830 herzustellen. Von Pirmasens INFO erfolgt keine Information über IFR-Verkehr in Zweibrücken.
Anfliegende Luftfahrzeuge haben spätestens fünf Minuten vor Erreichen des Flugplatzes Sprechfunkverbindung mit Pirmasens-Info aufzunehmen. Im Flugplatzverkehr ist Hörbereitschaft aufrecht zu erhalten. Weitere Infos siehe NfL 1-1964-20 u. 1-1965-20.